
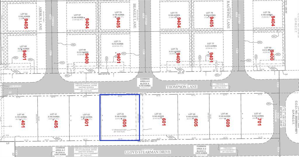
505 Lloyd Stearman Drive Mckinney, TX 75071
8,494 Sqft Lot
UPDATED:
Key Details
Property Type Vacant Land
Sub Type Improved Land
Listing Status Active
Purchase Type For Sale
Subdivision Aero Country East Add
MLS Listing ID 21188529
HOA Fees $6,500/ann
HOA Y/N Mandatory
Annual Tax Amount $2,860
Lot Size 8,494 Sqft
Acres 0.195
Lot Dimensions 100.00 x 84.75
Property Sub-Type Improved Land
Property Description
Location
State TX
County Collin
Community Airport/Runway, Community Pool, Community Sprinkler, Gated, Hangar
Zoning Residential, Detached Hangar Homes
Direction Head East on PGA Pkwy (becomes Virginia Pkwy). After Coit, make a U-Turn at Viriginia Hills. Turn Right at Lloyd Stearman. Gated Community. Please be aware this is an airport community! ~Do not drive on runway. ~ All streets (except Lloyd Stearman) are roads & taxiways. ~ Yield to all aircraft. ~
Exterior
Community Features Airport/Runway, Community Pool, Community Sprinkler, Gated, Hangar
Utilities Available Cable Available, City Sewer, City Water, Co-op Electric, Community Mailbox, Concrete, Curbs, Electricity Available, Natural Gas Available, Private Road, Sidewalk, Underground Utilities, See Remarks
Street Surface Concrete
Garage No
Building
Lot Description Airstrip, Subdivision, Taxi-way
Schools
Elementary Schools Jim And Betty Hughes
Middle Schools Jones
High Schools Rock Hill
School District Prosper Isd
Others
Restrictions Building,Deed,Easement(s)
Acceptable Financing 1031 Exchange, Cash, Conventional, FHA, Texas Vet, VA Loan
Listing Terms 1031 Exchange, Cash, Conventional, FHA, Texas Vet, VA Loan
Virtual Tour https://www.propertypanorama.com/instaview/ntreis/21188529

NEARBY SCHOOLS & PROPERTIES






